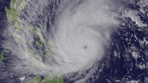
Thousands flee Typhoon Hagupit


MORE GALLERIES


YOU MAY ALSO LIKE...