Search crews hunting for Malaysia Airlines Flight 370 in remote waters off western Australia have discovered a shipwreck, officials said.
The unexpected find came when sonar equipment on a search vessel scouring the Indian Ocean for the missing airliner detected a cluster of objects nearly 2.5 miles below the surface, according to the Australian Transport Safety Bureau (ATSB).
Although officials suspected after finding the objects that they were probably not from the Boeing 777, which vanished on March 8th last year, they decided to take a closer look.

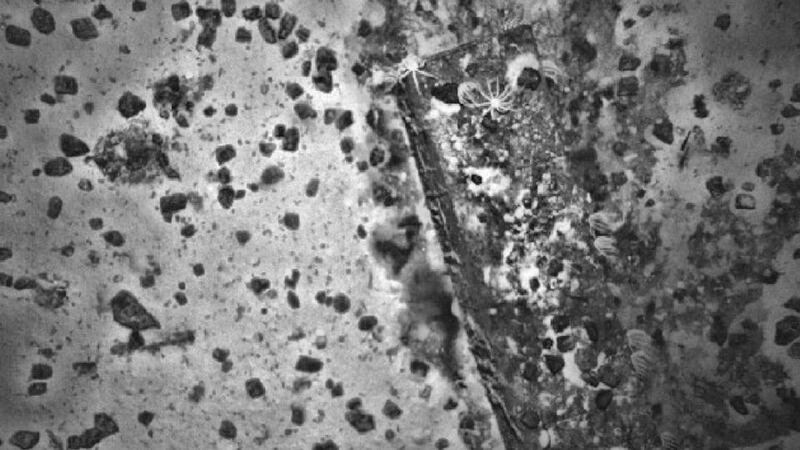
A second ship sent down an unmanned sub which revealed a large number of small objects and several larger items, the biggest being 20ft long.
The debris field appeared to be man-made but was not typical of an aircraft, and crews sent down a camera to be sure.
Analysis of the photos revealed that the debris came from a previously uncharted shipwreck.
Marine archaeologists are examining the photos, which include an image of an anchor and what appear to be lumps of coal, to see whether they can identify the ship. It was not immediately clear when the sonar first spotted the wreckage.
Peter Foley of the ATSB said: "It's a fascinating find, but it's not what we're looking for. We're not pausing in the search for MH370. In fact, the vessels have already moved on to continue the mission."
Last month, officials announced they would expand the search area for Flight 370 by another 23,000 square miles in the Indian Ocean if the plane is not found by the end of May.
Crews have covered 75 per cent of the original search area and have moved into the southern portion of the expanded search zone to take advantage of the last decent weather before winter sets in.
One of the four search vessels, which has the autonomous underwater vehicle on board, has withdrawn from the hunt because the worsening weather has made it too difficult for crews to launch the sub.









